Join Us Online Saturday, November 5th from 11 am to 1 pm for Two Exceptional Presentations on Hurricanes entitled—
“Is Climate Change Affecting Hurricanes?” and “New England Hurricanes: Our Vulnerability has Never Been Greater”
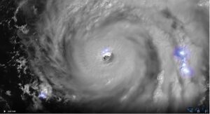
The program is being offered by Blue Hill Observatory as a replacement for the annual Southern New England Weather Conference that will again resume as an in-person conference in November 2023. About the Presentations Hurricanes are globally among the most destructive and lethal of natural phenomena, and it is therefore important that we come to understand how climate change might affect these terrible storms. In his talk “Is Climate Change Affecting Hurricanes?” renown MIT climate scientist, Dr. Kerry Emanuel, will review what is known about hurricanes and present up-to-date evidence about how both natural and human-induced climate change affects these storms, reviewing theory, model results, and observations. He will also present some estimate of how climate change might affect New England hurricanes. David R. Vallee, Director, Service Innovation and Partnership Division NOAA/NWS/Office of Water Prediction – National Water Center presentation “New England Hurricanes: Our Vulnerability has Never Been Greater,” will illustrate the reality of just how devastating a Category 3 can be in the New England region, and the important precautions that individuals can take to ensure the safety of family, friends and neighbors.
About Dr. Kerry Emanuel
Dr. Kerry Emanuel, the Cecil and Ida Green emeritus professor of atmospheric science at the Massachusetts Institute of Technology, where he was on the faculty from 1981 to 2022. Dr. Emanuel co-founded and was the co-director
of MIT’s Lorenz Center, a climate think tank devoted to basic, curiosity-driven climate research. He is the author or co-author of over 200 peer-reviewed scientific papers, and three books, including Divine Wind: The History and Science of Hurricanes, published by Oxford University Press and aimed at a general audience, and What We Know about Climate Change, published by the MIT Press and now entering its third edition.
About David R. Vallee
As the Director of the National Water Center’s Service Innovation and Partnership Division, Vallee leads service innovation activities as well as partner outreach and engagement to help gather requirements for new and enhanced water resources services. His current focus is on leading the national implementation of new Forecast Flood Inundation Mapping services.
Vallee is known locally for his outreach and education work on the behavior of New England hurricanes, including many appearances on local radio and T.V. networks as well as the Weather Channel, the History Channel and the Discovery Channel. David has been the recipient of numerous regional and national awards including the prestigious National Isaac Cline Award for Leadership.

