Throughout the year the BHO Science Center sponsors many special events and virtual webinars related to our mission of interest to weather professionals, educators, students and the general public.
The Blue Hill Observatory invites you to a “Tim Kelley + 1” webinar with meteorologists Tim Kelley and Joe Bastardi to discuss…
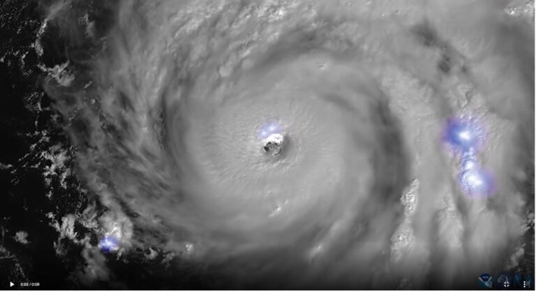
The 1938 Long Island/New England Hurricane – A Retrospective Date: September 19, 2023 Time: 7 PM EDT Registration The 1938 Hurricane, a…
To view the full agenda and to register for the conference: CLICK HERE
Blue Hill Observatory invites the Greater Boston Community to a celebration like no other. Please join us for “An Evening Among the…
Blue Hill Observatory & Science Center will host four days of special events to celebrate the reopening of our historic landmark building…
Join Us Online Saturday, November 5th from 11 am to 1 pm for Two Exceptional Presentations on Hurricanes entitled— “Is Climate Change…
Blue Hill Observatory and Trillium Brewing Company invite you to an evening of “Summer Bliss,” on August 10th from 5:30pm to 7:30pm…
Join us for “A Winter Retrospective” an all new webinar with Tim Kelley taking place Thursday, April 28, 2022 at 12 pm.…
Blue Hill Observatory’s Earth Day “Climb for Climate” challenge is back this year in partnership with Trillium. The renowned Boston-based brewery and…
Weather historian and renowned meteorologist for thirty-five years, Tim Kelley, will be joined by an esteemed panel of four veteran meteorologists who…
Monthly Skymail, event announcements, and research summaries.
